アブ類
[学名] Tabanidae
[分類] 双翅目(ハエ目),アブ科
中型ないし大型の昆虫。日本から約100種が記録されている。
大部分は吸血性で、おもに大型哺乳類を襲う。カ類など他の双翅類と同様に、雌のみが吸血する。産卵のために必要な栄養を摂る為と考えられる。
幼虫はウジ虫型で、小川、水田、湖沼、湿地などに生息し、肉食性で小動物を捕食する。
イヨシロオビアブ、シロフアブ、ゴマフアブなど多くの種が人を激しく吸血するほか、ウシ、ウマなどの家畜に与える害も大きい。
イヨシロオビアブ
[学名] Hirosia iyoensis (Shiraki)
[分類] 双翅目(ハエ目),アブ科

成虫の体長10mm内外で、比較的小型のアブ。胸背板は濃灰色、小楯板は白色微毛でおおわれる。腹部は灰黒色で、各節の後縁は白色。
幼虫は山地の渓流沿いのコケの下などに棲み、2年の幼虫期間を経て羽化する。成虫は8月-9月にかけて出現する。
本種は、羽化後最初の産卵は無吸血で行うが、産卵後特に激しく人を襲う習性がある。
おもに、早朝・夕方に活動し、人を激しく襲う。
名古屋市内には生息していないが、山地へハイキングやキャンプなどに出かけたときは注意が必要。
アカウシアブ
[学名] Tabanus chrysurus Loew
[分類] 双翅目(ハエ目),アブ科

大型のアブで、成虫の体長25mm以上になる。胸部は黒色で、背面に淡黄褐色の縦条がある。腹部は胸部と同色、各節の後縁には帯状に淡黄褐色斑がある。
日中にもよく活動し、人や家畜を襲う。
名古屋市近郊でも時々発生する。
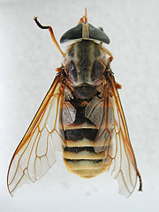
ウシアブ
[学名] Tabanus trigonus Coquillett
[分類] 双翅目(ハエ目),アブ科

成虫の体長20mm内外。胸部、腹部背面は黒褐色。各腹背中央部には三角斑があり、後端は細く帯状に淡黄褐色。
6月-8月頃成虫が出現し、畜舎や放牧場近くに多く見られる。
このページに関するお問い合わせ
健康福祉局 衛生研究所 生活環境部
電話番号:052-737-3711 ファクス番号:052-736-1102
Eメール:a7373711-05@kenkofukushi.city.nagoya.lg.jp
健康福祉局 衛生研究所 生活環境部へのお問い合わせ